Property Detail

14 Camares

Palmdale CA 93551

$159,900

Status: Active

Property Details

Description

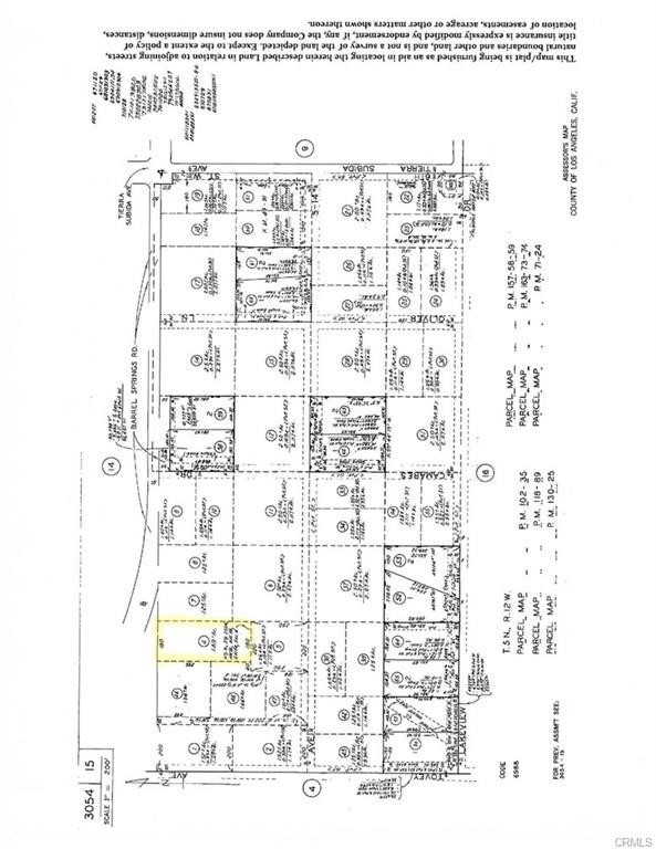
GREAT 1.25 AC LOT FOR YOUR CUSTOM HOME and this one has a WATER METER PAID FOR! Located in prestigious Ana Verde Hills. A custom built home is already built on the lot to the east so utilities in the street. And this one has a gorgeous View of the Valley and City Lights. Country feel yet close to the Freeway for commuting and close to shopping and restaurants. Don't miss this great opportunity.

Map Location

Stowell & Associates

Stowell & Associates

CA DRE# 01397481
Inquire Now
admin Real estate 9:00 AM - 5:00 PM 9:00 AM - 5:00 PM 9:00 AM - 5:00 PM 9:00 AM - 5:00 PM 9:00 AM - 5:00 PM Closed Closed https://static.royacdn.com/Site-da8039ec-6ba3-4175-a4d4-208d29681a64/team_photo_new.jpg realtor # # # https://static.royacdn.com/Site-da8039ec-6ba3-4175-a4d4-208d29681a64/team_photo_new.jpg 10969556 9492465452 02054356 9497060426 01397481 9499030026 02077688 9495007057 01963052 7143173874 02224448 7146093424