Property Detail

1310 Cudahy

County - Los Angeles CA 90032

$240,000

Status: Active

Property Details

Description

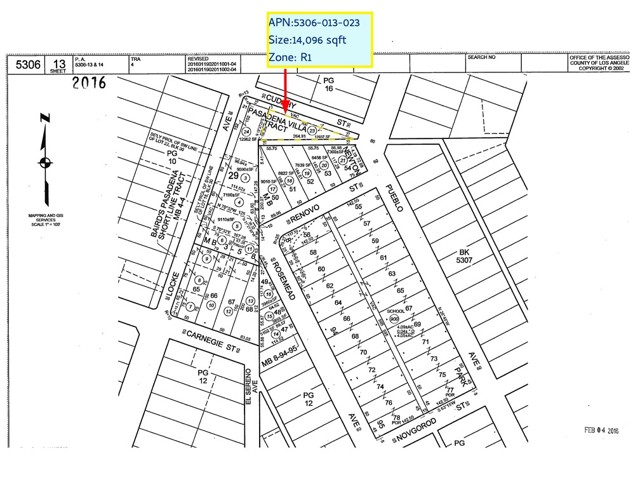
Rare development opportunity with sweeping city views in Los Angeles. This expansive 14,096 sq ft lot (approx. 0.32 acres), zoned LAR1 (buyer to verify), offers an ideal canvas for building. The property features level street frontage with utilities available at the curb (buyer to verify), making future construction straightforward. Positioned in an established neighborhood close to schools, parks, shopping, and freeway access, this lot combines everyday convenience with impressive vistas. Whether designing a custom residence or pursuing investment potential, this parcel delivers location, views, and value. No land lease and no HOA. Buyer to independently verify all information and intended use.

Map Location

Stowell & Associates

Stowell & Associates

CA DRE# 01397481
Inquire Now
admin Real estate 9:00 AM - 5:00 PM 9:00 AM - 5:00 PM 9:00 AM - 5:00 PM 9:00 AM - 5:00 PM 9:00 AM - 5:00 PM Closed Closed https://static.royacdn.com/Site-da8039ec-6ba3-4175-a4d4-208d29681a64/team_photo_new.jpg realtor # # # https://static.royacdn.com/Site-da8039ec-6ba3-4175-a4d4-208d29681a64/team_photo_new.jpg 10969556 9492465452 02054356 9497060426 01397481 9499030026 02077688 9495007057 01963052 7143173874 02224448 7146093424